- 기자
- 온라인 뉴스팀

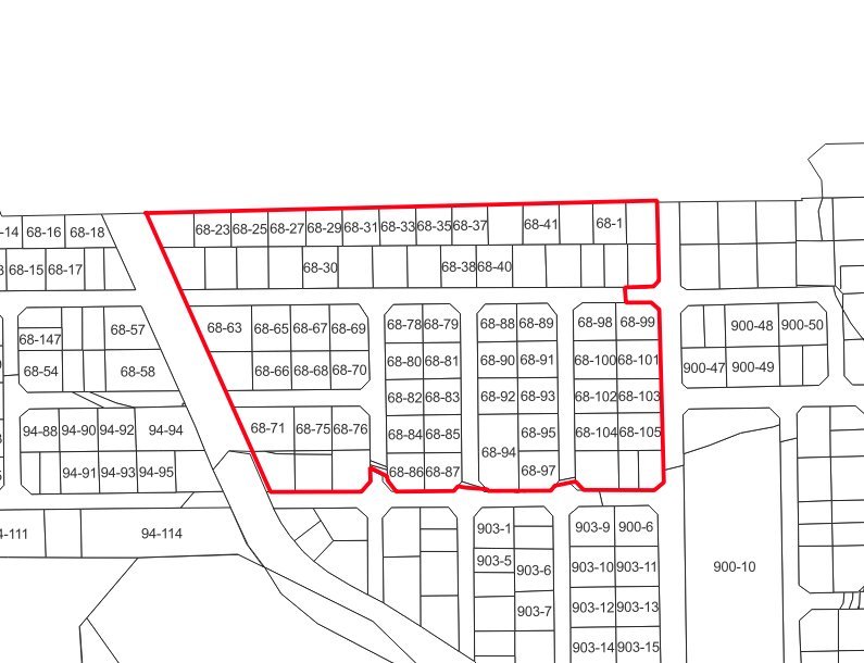
[PEDIEN] 안양시 만안구가 2026년 지적재조사사업 대상 지역인 박달사거리 주변과 뉴골든아파트 주변에 대한 온라인 주민설명회를 내달 1일 개최한다고 밝혔다. 이번 설명회는 지적 불일치 해소와 디지털 지적 전환을 목표로 한다.
만안구는 토지의 실제 이용 현황과 지적 공부의 불일치를 바로잡고, 디지털 지적으로 전환하는 국가 정책 사업의 일환으로 이번 사업을 추진한다. 이를 위해 국비 2천 6백만원을 확보, 박달사거리 주변과 뉴골든아파트 주변을 내년도 지적재조사 예정 지역으로 선정했다.
이번 온라인 설명회는 유튜브를 통해 진행되며, 해당 지역 토지 소유자와 이해관계인, 지역 주민들에게 사업의 추진 목적, 배경, 절차 및 주민 협조 사항 등을 상세히 설명할 예정이다.
유한호 만안구청장은 “지적재조사사업은 주민들의 적극적인 참여와 협조가 필수적”이라며, 토지소유자 총수와 토지 면적의 3분의 2 이상의 동의가 있어야 사업 지구 지정이 가능하다고 강조했다. 또한, 사업의 성공적인 추진을 위해 주민들의 많은 관심과 협조를 당부했다.
저작권자 © PEDIEN 무단전재 및 재배포 금지